Бишкекте 6 автобус каттамынын жүрүү схемасы өзгөрдү

Коом Загрузка... 12 Август 2025 10:27
{{item.title }}
{{item.title }}
{{item.title }}
{{item.title }}
{{item.title }}
{{item.title }}
{{item.title }}
Next
Previous
Next
Previous
copyright icon Бишкек мэриясы

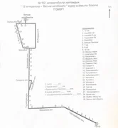
Бишкек, 12.08.25. /Кабар/. 11-августтан 31-августка чейин Бишкек шаарынын Фучик көчөсүндө жүргүзүлүп жаткан оңдоо иштерине байланыштуу Чүй проспектисинен Москва көчөсүнө чейинки бөлүгүнүн батыш тарабы унаа кыймылы үчүн жабык болот.

Муниципалитеттен билдиришкендей, буга байланыштуу №48, №41, №135, №133, №161 жана №132 каттамдардын кыймыл схемасы убактылуу өзгөртүлдү.

Бишкек шаарынын мэриясы жаралган ыңгайсыздыктарга түшүнүү менен мамиле кылып, жол тыгынын алдын алуу үчүн жеке унаалардын ордуна коомдук транспортту колдонууга чакырат.